スポット溶接

スポット溶接チェックは、モデル内のスポット溶接に伴う問題を特定して、レポートに表示します。

特定されたスポット溶接内の問題は、イメージ内のクロスマークを使用してハイライト表示されます。

  1. Comparisonブラウザで右クリックしコンテキストメニューからCheck > Spotweldを選択します。
    Spotweldダイアログが開きます。
  2. Base ModelにImport Typeを選択します。
    • XML (PLMXMLまたはUDMXML)
    • Assembly (CADアセンブリファイル:UG Assembly、CATProduct、JT Assembly…)
    • CAD (Refer Config / CAD section)
    • FE (Nastran, PAM-CRASH, Radioss, Abaqus, OptiStruct, HyperMesh)
    • Multiple Assembly(複数のCADアセンブリファイル)
    • Spot Files(適用外)
    • FE Files(直接ファイル選択)
    • Mixed Import (フォルダーにCADファイルとFEファイルが含まれる)
  3. データタイプを選択します。
    それぞれのデータタイプが表示されます。
  4. フォルダーアイコンをクリックして、インポートするモデルに移動します(フォルダー/ファイル選択)。
    フォルダーまたは選択した場所には、スポット溶接ファイルが存在している必要があります。スポット溶接ファイルタイプは、コンフィグファイルで設定する必要があります。
    1.


  5. Angle欄に、フィーチャー認識用の15~30度の値を入力します。
  6. Report Path欄で、Model Verificationツールで生成されたレポートが保存されるディレクトリに移動します。
  7. Project Name欄に、プロジェクトの名前を入力します。
  8. Slide Number欄に、PowerPointレポートで使用するスライドの開始番号を入力します。
  9. モデルを実行するための方法を選択します。
    • 同じHyperMeshセッションでモデルを実行する場合は、Interactiveを選択します。
    • 新しいHyperMeshセッションをバッチモードで起動する場合は、Backgroundを選択します。
  10. Backgroundオプションを選択すると、Processesドロップダウンリストがアクティブになりますが、プロセッサによっても異なります。
    Model Verificationツールは、選択されたhmbatchプロセスの数だけ起動されます。
    • レポート作成を行わず比較のみを実行する場合は、Checkを選択します。
    • レポートだけ生成する場合は、Reportを選択します(チェックは事前に実行されている)。
    • 比較レポート作成を続けて行う場合は、Bothを選択します。
  11. この機能を実行するには、Runをクリックします。
  12. 処理を停止する場合は、Stopをクリックします。
    これで、バックグラウンドを含むすべてのHyperMeshセッションが閉じられます。
  13. View Reportをクリックすると、Summary PowerPointレポートが表示されます。
    2. PowerPoint Summary. (レポートパスに保存される)


    3. PowerPoint Detailed Report. (レポートパスに保存される)


出力

スポット溶接チェックから生成されるPowerPointレポートの概要。

PowerPointレポートは以下のようないくつかのセクションに分かれています。
Report Header
プロジェクト名、アセンブリ名、およびスライド番号。
Assembly Picture
スポット溶接に問題があるコンポーネントのイメージ。
H3D Image
断面はHyperView Playerで確認できます。スポット溶接がクロスマークでマークされたFEモデルを示すH3Dイメージが表示されます。
Issue Details
スポット溶接に問題があるコンポーネントの詳細。
User Review Section
設計者 / エンジニアと情報を交換するときに新しい情報を追加するために使用されます。
Additional Info
現在のスライドに示されている問題の発生状況。インスタンスの数は、問題の発生件数を示しています。

サポートされているスポット溶接チェック

モデル内で実行可能なスポット溶接のチェックの概要。

Closest
互いに近すぎるスポット溶接を検出します。2つのスポット溶接が近すぎるかどうかを判断するための基準として、近さのトレランスが使用されます。
4.


Gap
スポット溶接の場所と結合先のコンポーネントとの間の距離が指定された最大ギャップ制限を上回っているまたは最小ギャップ制限を下回っているスポット溶接を検出します。
5.


Single Layer
1つのパートにしか結合されていないスポット溶接を検出します。2つ目のパートがスポット溶接定義から欠落しています。
6.


Multiple Layers
複数のパートのしきい値数として指定されている数を上回る数のパートに結合されているスポット溶接を検出します。
7.


HyperMesh Issues
リアライゼーションに失敗したスポット溶接を検出します。
8.


Non-Parallel Flanges
平行でないフランジに結合されたスポット溶接を検出します。フランジは、フランジ分岐のギャップまたはステップが存在する場合に平行でないと見なされます。
9.


Incorrect Location
Model Verificationは、コネクターとフィーチャーライン間の距離をチェックするためのフィーチャーラインを内部的に作成します。コネクターとフィーチャーライン間の距離が指定されたトレランスを下回っている場合は、コネクターの位置が不適切と見なされます。フィーチャーラインの作成に使用されるフィーチャー角度は、Feature Angle欄で指定します。
10.


Few Connections
スポット溶接が欠落している可能性のある位置を検出します。この検出は、その領域内の隣接するスポット溶接に基づいて行われます。
11.


Flange Gap
フランジ間のギャップが、溶接によって結合されるコンポーネント板厚の平均の下限と上限の間に収まっているかどうかを検出します。
12.


Spotweld Intersection
スポット溶接が未結合のコンポーネントと交差しているかどうかを検出します。
13.


Spotweld on Fillet
スポット溶接がフィレットフィーチャー上に存在しているかどうかを検出します。
14.


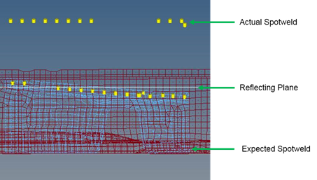
Reflect Spotweld
スポット溶接を定義した平面の周囲の場所を反映するようにリアライズできるかどうかを検出します。
15.